These events occurred while I was serving in San Roque, Tolosa, which is 20 miles south of Tacloban City on the island of Leyte. My missionary companion, Elder Kyle Oakes, had arrived in the Philippines only five weeks earlier. What follows are the chronological details of my experience.
Wednesday, November 6, 2013:
On Wednesday, we first learned from some church members in the area that a very large typhoon was going to arrive in the Philippines in the next few days. We went to a Family Home Evening with the Babiera family because we were going to celebrate Elder Oakes’ birthday with them since it was also the birthday of sister Babiera. When we arrived at their home on the beach, the wind was blowing strong off of the ocean, and the waves were larger than I had ever previously seen in my area. We sent a text to the Zone Leaders asking about the typhoon. They responded first with a text saying that if it is a level 1 typhoon, we work only near the apartment and that if it is level 2, we should stay inside the apartment. Later, they sent another text, apparently having received further direction from the Mission Office. They told us that we needed to buy extra food and water for the storm and that we needed to purchase an extra phone battery and rope. They informed us that on Friday we were not to leave our apartments.
Thursday, November 7, 2013:
Thursday morning we planned to go to Dulag, a municipal center to the south, where we would be able to purchase the supplies that we had been asked to obtain. By Thursday almost all of the public transportation had stopped running, but we were able to catch one of the last buses. When we got to Dulag, there were no more stores with the exact battery that we needed, but we were able to get ten bakery donuts, 20m of rope, two torch lamps, and half a liter of kerosene.
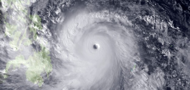
We then felt compelled to check wunderground.com to see what we were supposed to expect. We saw on the map that a category 4 typhoon was going to hit on Friday morning, and that it was forecasted to pass directly over our area. Had we not known those things, we would have been much less prepared for the storm. Last year, there was another super-typhoon in December, but it turned out to be nothing more than a little wind and rain for the area in which I resided. While we were there, we were also informed by our zone leaders that no one was to leave the apartment that day once we had procured all of our supplies. By the time we were ready to return to our area, public transportation had stopped, and we had to hire a motorcycle for triple the normal fare.
We prepared for the storm this day by
- Filling all of our lamps with oil.
- Eating all of the donuts so that we wouldn’t have to use our food supply until after the storm.
- Sorting all of our most important and survival-situation-useful possessions into a small bag that we would be able to grab in an emergency.
- Building a safe-room by tying down our extra mattresses against the bunk-bed frame. (I remembered when there was a tornado warning at home in Minnesota and my grandfather had said that we needed to set up a barricade to protect us from flying debris.) We tied down three mattresses and got ropes positioned so that when the storm hit we would be able to slide in the last mattress and tie it down from inside.
- Putting all of our baggage on top of our fort.
- Gathering all of the candles in the apartment.
- Buying 15 gallons of purified water.
- Taking 5 gallons of filtered water to the church, where everyone else was taking refuge.
- Gathering flashlights, the hammer I bought a week before, our knives, matches, glowsticks, barometer, thermometer, cameras, and a few other things.

